Ricerca Avanzata
Contattaci
- 
            0717923400 (tel./fax) Via A.Costa 56 - 60019 Senigallia (AN) 
- 
              Max Bocchini
- 
              Cristina Tanfani
Torna indietro |
Casa indipendente in Vendita - Trecastelli | euro 80000
MQ. 125 - Rif. A4437
- Italiano
- English
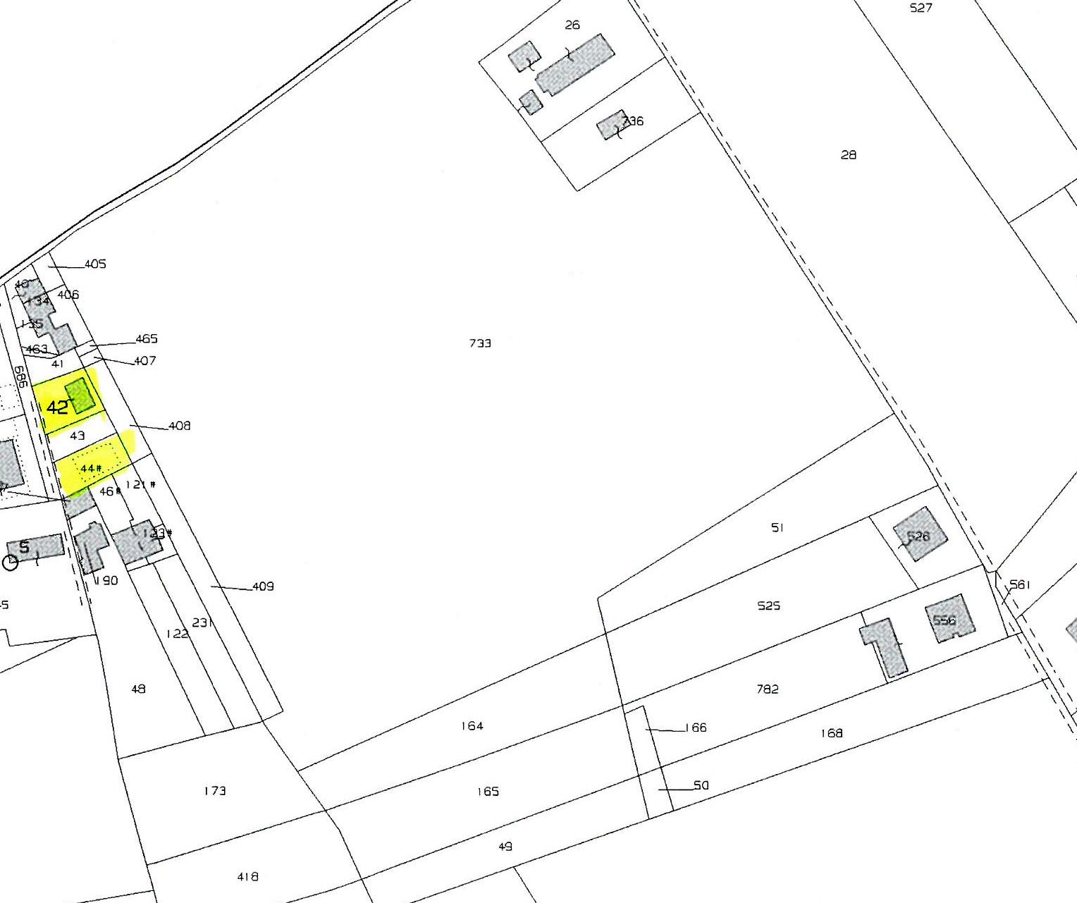
Trecastelli in zona panoramica vicino ai servizi Casale da demolire e ricostruire come casa tipica marchigiana oppure villetta
Il casale si trova all`interno di un`area urbana con strade ed illuminazione pubblica e la corte ricade in zona B3 di completamento dove è prevista
demolizione con costruzione
Ideale per chi ama la propria abitazione immersa nel verde ma vicino ai servizi
senza negarsi un bellissimo panorama
info e planimetrie rivolgersi presso i nostri uffici
possibilità di ristrutturazione con il superbonus 110%, contattaci.
Il nostro team è a disposizione.
come arrivare
IN AUTO:
Sia dal Nord che dal Centro che dal Sud, arrivando in autostrada l`uscita è Senigallia, sulla A14 tra Fano e Ancona Nord.
IN AEREO:
L’aeroporto più vicino è quello di Ancona e dista 51 Km. Da lì è possibile raggiungere Ancona tramite:
Treno : l`Aeroporto di Ancona Falconara è collegato da un servizio ferroviario diretto con partenza dalla STAZIONE DI CASTELFERRETTI ed arrivo alla
stazione ferroviaria di Ancona dalla quale è possibile raggiungere le varie destinazioni nazionali ed internazionali.
Rif.: A4437 -  
Rif.: A4437 -
Caratteristiche immobile
- Residenziale
- G (120 kWh/mq anno)
- 4
- 1
- 125
- box singolo / - m²
- A4437
- Vendita
- No
- terra
- autonomo
- da ristrutturare
- libero









